Estados Unidos.- El huracán Laura, uno de los más violentos que afectó al estado de Louisana en más de 150 años, ha dejado al menos 14 muertos en el sur de Estados Unidos, pero menos daños de los que se vaticinaban.
“Podemos estar aliviados», declaró en una conferencia de prensa el gobernador de Louisiana, John Bel Edwards, al subrayar que su estado no había sufrido los «estragos catastróficos» anunciados.
“ Aunque hemos sufrido una cantidad enorme de daños», agregó, como la ‘vida destrozada’ de miles de habitantes, según reportó Excélsior.
A su paso por el Caribe, Laura ya había provocado hace una semana importantes inundaciones en Haití y República Dominicana, que comparten la isla Española (o Quisqueya).
Al menos 31 personas murieron en el primero y cuatro en el segundo.
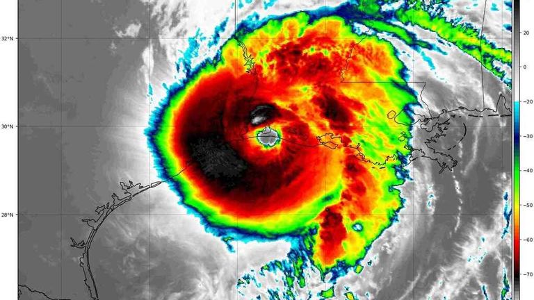
Convertida en tormenta tropical el jueves por la tarde, Laura se volvió a reforzar antes de tocar tierra en Estados Unidos pasando a huracán de categoría 4 (de 5) el jueves hacia la 01H00 local (06H00 GMT) en la ciudad costera de Cameron, cerca de la frontera con Texas, en el Golfo de México, con vientos sostenidos de 240 km/h, según el Centro Nacional de Huracanes (NHC).
Laura es el huracán más potente que afecta a Louisiana desde hace siglo y medio, según datos recabados por un investigador de la universidad de Colorado, especializado en huracanes, Philip Klotzbach.
El huracán dejó al menos 10 muertos en este estado y cuatro en la vecina Texas, la mayoría por inhalaciones de monóxido de carbono emitido por generadores eléctricos portátiles utilizados en el interior debido a los cortes de luz.
Otras cuatro personas perdieron la vida en Louisiana por caídas de árboles en sus viviendas y otra se ahogó después de que el viento hundiera su embarcación.
El viernes había 464 mil 813 usuarios sin electricidad en Louisiana, de acuerdo con el sitio Poweroutage.us.
La violencia del viento quebró los vidrios de un gran edificio en Lake Charles, ciudad de Louisiana conocida por las refinerías de petróleo, principal fuente económica de la región.
Asimismo, un incendio se declaró en una planta de productos químicos que generó una gigantesca nube tóxica que obligó a los vecinos a refugiarse en su domicilio.
DEGRADADO A TORMENTA TROPICAL
Los meteórologos han alertado del riesgo de inundaciones en el norte de Louisiana y el sur de Arkansas.
El presidente Donald Trump anunció que visitará Texas y Louisiana el «sábado o domingo».
Quince años después del huracán Katrina, que asoló Nueva Orleans y marcó profundamente a la población de Louisiana, las autoridades locales recomendaron a la población que extremara la prudencia.
El gobernador del Estado de Texas, Greg Abbott, dijo el jueves que la subida de las aguas no fue «tan importante como se esperaba inicialmente» y que probablemente, las evacuaciones en las zonas costeras permitieron salvar muchas vidas.
Más de 1.5 millones de personas recibieron orden de evacuación en Louisiana y Texas, uno de los estados estadunidenses más afectados a su vez por la pandemia de covid-19.
En los centros de acogida se han establecido nuevos protocolos para mantener la sana distancia.
La temporada de huracanes en el Atlántico, que dura oficialmente de 1 de junio al 30 de noviembre, se anuncia particularmente intensa este año. (EXCÉLSIOR)





