
Ginebra.- La Organización Meteorológica Mundial junto a las principales organizaciones de ciencia climática del mundo revelaron un informe que demuestra la evidente y creciente brecha entre los objetivos acordados para abordar el calentamiento global y la realidad actual.
El informe United in Science o “Unidos en la Ciencia” reúne los detalles sobre el estado actual del clima y presenta tendencias en las emisiones y concentraciones atmosféricas de los principales gases de efecto invernadero.
En la investigación los científicos destacan la urgencia de una transformación socioeconómica fundamental en sectores clave como el uso de la tierra y la energía para evitar un aumento peligroso de la temperatura global con impactos potencialmente irreversibles. También examinan herramientas para apoyar tanto la mitigación como la adaptación.
¿Cuál es la situación según los científicos?
El clima global
La temperatura global promedio para 2015-2019 está en camino de ser la más cálida de cualquier otro período equivalente registrado. Actualmente se estima en 1,1° C, un grado más por encima de los tiempos preindustriales (1850–1900).
Las olas de calor en los últimos años han sido las más letales, afectaron a todos los continentes y establecieron registros récord de temperatura a nivel nacional.
Las olas de calor generalizadas y duraderas, los incendios récord y otros eventos devastadores como los ciclones tropicales, las inundaciones y la sequía han tenido un gran impacto en el desarrollo socioeconómico y el medio ambiente.
Incendios sin precedentes
El verano de 2019 vio incendios sin precedentes en el Ártico que tan solo en junio emitieron 50 megatoneladas de carbono a la atmósfera. Esto es más que todos los fuegos juntos en esa región de 2010 a 2018. También hubo múltiples incendios en la selva tropical de la Amazonía en particular en agosto.

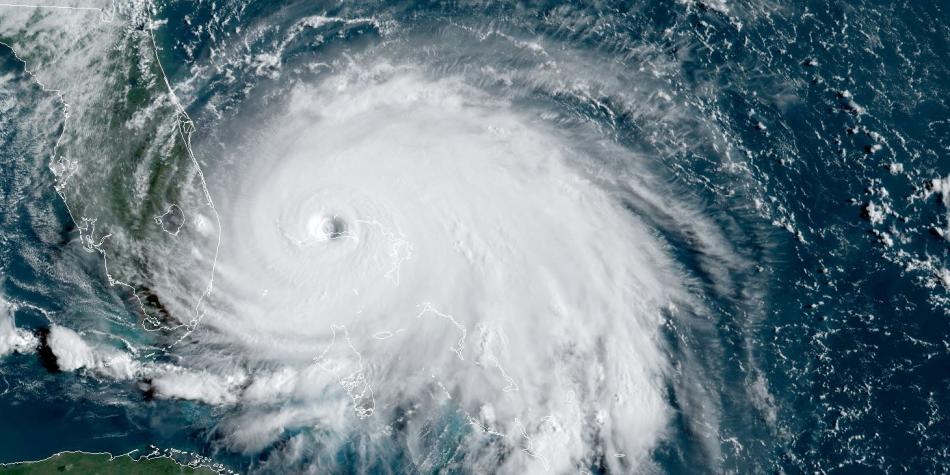
Ciclones devastadores
Las mayores pérdidas económicas mundiales han estado ligadas a ciclones tropicales. La temporada de 2018 fue especialmente activa, con el mayor número de tormentas tropicales de todos los años en el siglo XXI.
Todas las cuencas del hemisferio norte experimentaron una actividad mayor de lo normal. El Pacífico Nororiental registró su mayor Valor Energético de Ciclones de toda su historia.
La temporada de huracanes en el Atlántico de 2017 fue una de las más devastadoras de la historia con más de 125.000 millones en pérdidas asociadas solo con el huracán Harvey. Ciclones tropicales consecutivos sin precedentes del océano Índico golpearon a Mozambique en marzo y abril de 2019.
Disminución continua del hielo marino y la masa de hielo
La extensión del hielo marino del verano ártico ha disminuido a una tasa de aproximadamente 12% por década durante 1979-2018. Además, los cuatro valores más bajos para la extensión del hielo marino en invierno ocurrieron entre 2015 y 2019.
El panorama es parecido al otro polo. La cantidad de hielo perdido anualmente de la capa antártica aumentó al menos seis veces entre 1979 y 2017 y la pérdida de masa de glaciares para 2015-2019 es la más alta en cualquier período de cinco años registrado
El aumento del nivel del mar se está acelerando, el agua del mar se está volviendo más ácida
La tasa observada de aumento medio global del nivel del mar se aceleró de 3,04 milímetros por año durante el período 1997–2006 a aproximadamente 4mm durante el período 2007–2016.
Esto se debe a la mayor tasa de calentamiento y derretimiento de las capas de hielo de Groenlandia y la Antártida Occidental. Además, ha habido un aumento general del 26% en la acidez del océano desde el comienzo de la era industrial.
Sequía que causa hambre
Según la Organización de las Naciones Unidas para la Alimentación y la Agricultura, las situaciones climáticas extremas se encuentran entre los principales impulsores de los recientes aumentos del hambre a nivel mundial después de una disminución por varios años.
La frecuencia de las condiciones de sequía de 2015 a 2017 muestran el impacto del fenómeno de El Niño en 2015 a 2016 en los cultivos. Amplias áreas de África, América Central, Brasil y el Caribe, así como Australia experimentaron un gran aumento en la frecuencia de las condiciones de sequía entre 2015 y 2017 en comparación con los últimos 14 años.

Más muertes por el clima
De acuerdo con la Organización Mundial de la salud entre 2000 y 2016 el número de personas expuestas a las olas de calor han aumentado en alrededor de 125 millones. La longitud promedio de los eventos de olas de calor individuales fueron 0,37 días más largos, en comparación con el período entre 1986 y 2008, contribuyendo a un mayor riesgo de enfermedad o muerte relacionada con el calor.
Concentraciones de gases de efecto invernadero récord en la atmósfera
Los niveles de los principales gases de efecto invernadero de larga duración, dióxido de carbono (CO2), metano (CH4) y óxido nitroso (N2O) han alcanzado niveles récord.
La última vez que la atmósfera de la Tierra contenía 400 partes por millón de CO2 fue hace unos entre 3 y 5 millones de años, cuando la temperatura media global de la superficie era de 2 a 3 grados más cálida que hoy, las capas de hielo en Groenlandia y la Antártida Occidental se derritieron y partes del hielo de la Antártida Oriental se cayeron, todo lo cual causó un aumento del nivel global del mar de 10 a 20 metros en comparación con el actual.
En 2018, la concentración global de CO2 fue de 407,8 partes por millón (ppm), 2,2 ppm más que en 2017. Los datos preliminares de un conjunto de sitios de monitoreo de gases de efecto invernadero para 2019 indican que las concentraciones de dióxido de carbono están en camino de alcanzar o incluso superar 410 partes por millón para finales de 2019.
En 2017, las concentraciones atmosféricas promediadas a nivel mundial han llegado a casi el triple de lo niveles preindustriales.
Además, la tasa de crecimiento promedio de dióxido de carbono durante tres décadas consecutivas (1985–1995, 1995–2005 y 2005–2015) aumentó de 1,42 ppm por año, a 1,86 ppm y luego a 2,06 ppm.
Las emisiones de carbono
Las emisiones de dióxido de carbono crecieron un 2% y alcanzaron un récord de 37.000 millones de toneladas en 2018. Hasta el momento no hay señales de que habrá un récord en este año.
Las tendencias económicas y energéticas actuales sugieren que las emisiones serán al menos tan altas en 2019 como en 2018. Se espera que el PIB mundial crezca al 3,2% en 2019, y si la economía global se descarboniza al mismo ritmo que en los últimos 10 años, eso aún conduciría a un aumento en las emisiones globales.
A pesar del extraordinario crecimiento de los combustibles renovables en la última década, el sistema energético mundial todavía está dominado por las fuentes de combustibles fósiles. El aumento anual en el uso de energía global es mayor que el aumento en la energía renovable, lo que significa que el uso de combustibles fósiles continúa creciendo. “Este crecimiento necesita detenerse de inmediato”, aseguran los científicos.
Las emisiones netas cero necesarias para estabilizar el clima requieren tanto de una aceleración en el uso de fuentes de energía que no sean de carbono como de una rápida disminución de los combustibles fósiles en la industria energética. “Este doble requisito representa un desafío”, dice el informe.
Los sumideros naturales de dióxido de carbono, como la vegetación y los océanos, que eliminan aproximadamente la mitad de todas las emisiones de las actividades humanas, serán menos eficientes al hacerlo. Esto subraya la necesidad de reducir la deforestación y expandir los sumideros naturales de CO2, particularmente aquellos en bosques y suelos que pueden mejorarse mediante un mejor manejo y restauración del hábitat.
La brecha de emisiones, según ONU Medio Ambiente
Los Informes de brecha de emisiones del Programa de las Naciones Unidas para el Medio Ambiente, con la décima edición que se publicará en noviembre, evalúan los últimos estudios científicos sobre las emisiones de gases de efecto invernadero actuales y futuras estimadas y los comparan con los niveles de emisión permitidos para que el mundo progrese para alcanzar los objetivos del Acuerdo de París.
Esta diferencia entre «dónde es probable que estemos y dónde debemos estar» se conoce como brecha de emisiones.
Las emisiones globales no alcanzarán su punto máximo para 2020 y 2030 si se mantienen las políticas climáticas actuales y los niveles de ambición de las Contribuciones Determinadas a Nivel Nacional (NDC). Sin embargo, los resultados preliminares del Informe de brecha de emisiones 2019 indican que estas continuaron aumentando en 2018.
El nivel de ambición de las Contribuciones Determinadas de los países debe triplicarse aproximadamente para alinearse con el límite de 2 grados establecido por el Acuerdo de París y debe aumentarse alrededor de cinco veces para alinearse con el límite de 1,5 grados.
Si las ambiciones no se incrementan inmediatamente y se respaldan con acciones, ya no se puede evitar exceder ese objetivo. Si la brecha de emisiones no se cierra para 2030, es muy posible que el objetivo de un aumento de temperatura muy inferior a 2 grados también esté fuera de alcance.
Una parte sustancial del potencial técnico se puede lograr mediante la ampliación y la replicación de políticas existentes y bien probadas, como el cambio a la energía renovable y la reforestación, que simultáneamente contribuyen a los objetivos clave de desarrollo sostenible.
Las advertencias del Panel Intergubernamental sobre Cambio Climático
Tres informes especiales publicados en 2018 y 2019 evalúan aspectos complementarios y específicos del cambio climático, antes del sexto informe de evaluación.
El Informe especial sobre el calentamiento global de 1,5 grados, establece que limitar el calentamiento a ese aumento no es físicamente imposible, pero requeriría transiciones sin precedentes en todos los aspectos de la sociedad. Hay claros beneficios de mantener el calentamiento a 1,5 grados en comparación con 2 o más.
Cada grado importa: limitar el aumento puede ir de la mano con alcanzar otros objetivos mundiales como lograr el desarrollo sostenible y erradicar la pobreza.
El Informe Especial sobre el Cambio Climático y la Tierra enfatizó que los suelos están bajo una presión humana creciente y que el cambio climático se suma a estas presiones. Al mismo tiempo, mantener el calentamiento global muy por debajo de los 2 grados solo se puede lograr reduciendo las emisiones de gases de efecto invernadero de todos los sectores, incluidos la tierra y los alimentos.
La investigación muestra que una mejor gestión de la tierra puede contribuir a hacer frente al cambio climático, pero la tierra no es la única solución: reducir las emisiones de gases de efecto invernadero de todos los sectores, incluida la energía, es esencial para mantener el calentamiento global lo más cerca posible de 1,5 grados.
El 25 de septiembre de 2019, el Panel Intergubernamental sobre el Cambio Climático publicará el Informe especial sobre el océano y la criosfera en un clima cambiante.
Hacia el futuro
La evidencia consolidada refuerza la influencia humana como la causa dominante de los cambios en el sistema de la Tierra, en una nueva época geológica, el Antropoceno.
Los crecientes impactos climáticos aumentan los riesgos de cruzar puntos críticos de inflexión. Se refieren a umbrales que, si se cruzan, conducen a cambios de largo alcance, en algunos casos abruptos y o irreversibles, afirma la investigación.
Hay un reconocimiento creciente de que los impactos climáticos están golpeando con más fuerza y antes de lo que las evaluaciones climáticas indicaron incluso hace una década.
A medida que se intensifica el cambio climático, las ciudades son particularmente vulnerables a los impactos como el estrés por calor y pueden desempeñar un papel clave en la reducción de emisiones a nivel local y global.
Las estrategias para la mitigación y para mejorar la gestión adaptativa del riesgo son necesarias en el futuro.
“Solo una acción inmediata e integral que abarque: una profunda descarbonización complementada con medidas políticas ambiciosas, protección y mejora de los sumideros de carbono y la biodiversidad, y los esfuerzos para eliminar el CO2 de la atmósfera, nos permitirán cumplir con el Acuerdo de París”, aseguran los científicos. (ONU NOTICIAS






